World's Strongest Tropical Cyclone Ever Recorded

L.Inkish 48 views
World's Strongest Tropical Cyclone Ever Recorded

The Strongest Tropical Cyclone Ever Recorded: A Look at Super Typhoon Tip

What’s the strongest tropical cyclone ever recorded , you ask? Well, guys, buckle up because we’re about to dive into the awe-inspiring and frankly, terrifying, world of Super Typhoon Tip . This behemoth isn’t just a record-holder; it’s a testament to the raw, untamed power of nature. Imagine a storm so vast it could engulf entire countries, with winds that scream faster than a Formula 1 car. That, my friends, is Tip. Recorded in 1979, this super typhoon wasn’t just the strongest in terms of wind speed; it was also the largest tropical cyclone on record. Its sheer scale is mind-boggling. At its peak, Tip’s wind field stretched an unbelievable 1,380 miles (2,220 kilometers) in diameter. To put that into perspective, that’s wider than the entire continental United States is from east to west! When we talk about the strongest tropical cyclone ever recorded , Tip often comes to the forefront not just for its intensity but for its colossal size, which is a rare combination. The storm’s central pressure also plummeted to a staggering 870 millibars (25.69 inches of mercury), the lowest ever recorded in a tropical cyclone. This incredibly low pressure is a key indicator of a storm’s immense strength, as it signifies a powerful vacuum effect drawing air inwards with ferocious speed. The damage and impact of such a storm, though thankfully not directly experienced by many due to its path over open ocean for most of its life, were still significant. It caused considerable destruction in Japan and other parts of the western Pacific, highlighting the far-reaching consequences of these extreme weather events. Understanding these record-breaking storms helps meteorologists refine their models and improve forecasting, ultimately contributing to better preparedness and safety for communities in vulnerable regions. The study of these cyclones provides invaluable data on atmospheric dynamics and the complex interplay of factors that contribute to their formation and intensification. The sheer energy contained within a system like Super Typhoon Tip is difficult to comprehend, but it serves as a stark reminder of the planet’s powerful meteorological forces. We’ll explore the factors that contributed to Tip’s monstrous growth, its devastating journey, and what lessons we’ve learned from this ultimate display of nature’s fury. So, if you’re fascinated by extreme weather and the sheer power of the planet, you’re in the right place.

What Made Super Typhoon Tip So Incredibly Strong?

So, what exactly conjures up a monster like Super Typhoon Tip, the strongest tropical cyclone ever recorded ? It’s a perfect storm of atmospheric ingredients, guys. Imagine the Pacific Ocean acting like a giant stovetop, heating up vast amounts of water. This warm water is the primary fuel for tropical cyclones. Tip formed in the western Pacific, an area known for its exceptionally warm sea surface temperatures, particularly during typhoon season. Think of these warm waters as high-octane gasoline for the storm. When the water temperature is significantly above average, it provides more energy for evaporation, leading to a more potent updraft within the developing storm. Beyond just warm water, the atmosphere itself needs to be conducive. For Tip, there was a confluence of factors that allowed it to flourish. Favorable atmospheric conditions played a massive role. This includes things like low vertical wind shear, which means the winds at different altitudes weren’t blowing in drastically different directions or speeds. When wind shear is high, it can tear a developing storm apart, like trying to build a sandcastle during a gale. But with low shear, the storm can grow vertically and organize itself efficiently. We’re talking about a tall, stable structure where the energy can concentrate. Furthermore, Tip developed in an area with a large and consistent supply of moisture . This humid air, once it rises and cools, releases latent heat, further fueling the storm’s engine. It’s like adding extra steam to the pot, making everything boil hotter and faster. The Coriolis effect , caused by the Earth’s rotation, also played its part in initiating the storm’s spin. While it doesn’t create the storm, it helps organize the swirling winds. Think of it as the initial nudge that gets the merry-go-round spinning. For Tip, its position in the western Pacific provided the ideal conditions for it to tap into these powerful oceanic and atmospheric resources. The sheer amount of energy available was immense, allowing the storm to not only form but to intensify rapidly and reach unprecedented levels of strength. Meteorologists study these conditions intensely to understand how and why such extreme events occur. By analyzing historical data and running complex computer models, they can identify the precursors and contributing factors that lead to the development of super typhoons. The interplay between ocean heat content, atmospheric stability, and large-scale weather patterns is crucial in determining a cyclone’s potential for extreme intensity. It’s a fascinating, albeit dangerous, dance of meteorological forces that allows such giants to form and unleash their power. This combination of factors is what propelled Tip from a nascent disturbance into the most powerful tropical cyclone the world has ever witnessed, setting a benchmark for extreme weather events.

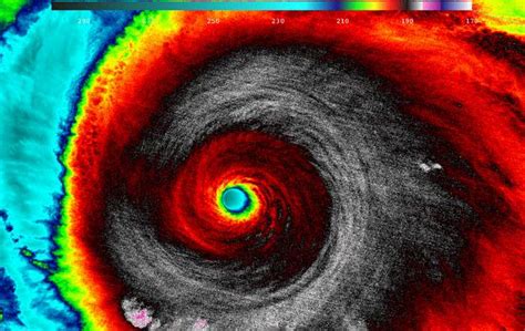
The Record-Breaking Intensity of Super Typhoon Tip

Let’s get down to the nitty-gritty, guys, because when we talk about the strongest tropical cyclone ever recorded , the numbers for Super Typhoon Tip are simply astounding. This isn’t just about strong winds; it’s about the entire package of intensity. The lowest central pressure ever recorded in a tropical cyclone belongs to Tip. On October 12, 1979, its central barometric pressure dropped to an unbelievable 870 millibars (25.69 inches of mercury) . Now, why is this so important? Think of atmospheric pressure like the ‘pull’ of the storm. The lower the pressure in the eye, the stronger the ‘pull’ inwards, leading to much faster and more violent winds spiraling towards the center. To put 870 millibars into context, typical hurricanes might have central pressures around 950-960 millibars. A Category 5 hurricane often drops below 920 millibars. Tip’s 870 millibars was so low it was a major scientific event, pushing the known limits of tropical cyclone intensity. This extreme low pressure is a direct indicator of the immense power and organization of the storm. It signifies a colossal amount of energy being concentrated in the storm’s core. The maximum sustained winds associated with Tip were also incredibly high, estimated to be around 190 mph (305 km/h) . Imagine winds strong enough to rip apart buildings, flatten forests, and turn debris into deadly projectiles. While some storms might have higher peak wind gusts, Tip’s sustained winds were sustained over a significant period and across a wide area, making it exceptionally destructive. Sustained winds are what meteorologists use to classify storm categories because they represent the continuous force the storm exerts. These winds were part of an incredibly well-defined eye, surrounded by a towering eyewall that contained the most violent weather. The combination of this record-breaking low pressure and extreme sustained winds solidified Tip’s status as the strongest tropical cyclone ever recorded . It wasn’t just a fleeting moment of extreme intensity; Tip maintained this incredible power for a significant duration. The sheer force packed into this single weather system is difficult to overstate. It represents a level of energy that is rarely seen, and studying it provides invaluable insights into the upper limits of tropical cyclone development. Understanding these metrics helps us appreciate the scale of nature’s power and the importance of accurate forecasting and preparedness when such phenomena threaten inhabited areas. The data gathered from Tip continues to be a cornerstone in meteorological research, helping scientists refine their understanding of how these colossal storms function and what factors contribute to their record-breaking status.

The Astonishing Size of Super Typhoon Tip

Beyond its sheer wind speed and pressure, guys, the strongest tropical cyclone ever recorded also wins the prize for being the largest tropical cyclone by diameter . Super Typhoon Tip was an absolute monster in terms of its physical size. At its peak, its wind field spanned an incredible 1,380 miles (2,220 kilometers) in diameter . Let that sink in for a moment. That’s wider than the entire continental United States is from coast to coast. If you were to place Tip over North America, its edges would stretch from Maine all the way to California, and well into Mexico and Canada. This colossal size meant that its influence was felt over an enormous area, even far from its destructive core. This immense diameter is unusual; most tropical cyclones are significantly smaller. This vast circulation meant that Tip was drawing in air and moisture from a huge expanse of the Pacific Ocean, further contributing to its size and longevity. The sheer volume of air involved in its rotation is staggering. Think of it as a colossal spinning top, but instead of wood and paint, it’s made of wind, rain, and immense energy. This expansive wind field included not just the hurricane-force winds but also gale-force winds that extended even further out, affecting shipping lanes and weather patterns across a vast region. The scale of Tip meant that its interaction with the environment was also on a grand scale, influencing ocean currents and atmospheric conditions over a huge swathe of the planet. While its most intense winds were concentrated near the center, the sheer size meant that its effects, such as heavy rainfall and strong winds, could impact areas thousands of miles away. This vastness is a key reason why Tip is so often cited when discussing the strongest tropical cyclone ever recorded . It combined extreme intensity with an unparalleled geographical footprint. The size of a tropical cyclone is determined by how far out the sustained winds extend. A larger diameter indicates a more widespread circulation and often suggests a storm that has had a long time to organize and draw in surrounding atmospheric resources. Tip’s immense size is a testament to the favorable conditions it encountered and the sheer power it wielded. Understanding this scale is crucial for meteorologists trying to predict the potential impact of large storms, as their effects can extend far beyond the immediate eye and eyewall. The sheer atmospheric displacement caused by such a massive system is a phenomenon that continues to be studied, offering insights into the dynamics of large-scale weather systems. It’s this combination of compact, extreme intensity at its core and a sprawling, vast diameter that makes Super Typhoon Tip a truly unique and record-setting event in meteorological history.

The Devastating Path and Impact of Tip

Even though Super Typhoon Tip was the strongest tropical cyclone ever recorded , its path over the open ocean meant that its most destructive potential was somewhat limited in terms of direct, catastrophic landfall on major populated centers. However, this doesn’t mean it was without significant impact, guys. After reaching its peak intensity over the western Pacific, Tip began to move northeastward and eventually lost some of its tropical characteristics as it encountered cooler waters and stronger westerly winds. Despite this, its journey still caused considerable trouble. When Tip made landfall in Japan on October 19, 1979, it was no longer a super typhoon but was still a powerful storm. It brought torrential rainfall and strong winds to parts of Japan, triggering landslides and flooding . These secondary effects, caused by the immense moisture the storm carried, proved to be deadly. Numerous villages were devastated by mudslides, and rivers overflowed their banks, causing widespread destruction. Tragically, Tip was responsible for 39 deaths in Japan, with many more injured and thousands displaced. The storm also significantly impacted the U.S. military presence in the region. Several U.S. Navy ships operating in the western Pacific encountered the storm’s outer bands, and some sustained damage. The aircraft carrier USS Kitty Hawk and its escort ships were caught in rough seas, highlighting the danger posed even to large naval vessels by such a massive storm. While the storm’s eye did not make direct landfall on densely populated areas of Japan, the sheer volume of rain it dumped over mountainous terrain was catastrophic. The ground, already saturated from previous weather systems, could not absorb the deluge, leading to massive debris flows that swept away homes and infrastructure. The economic impact was also substantial, with damage to agriculture, fisheries, and infrastructure running into the hundreds of millions of dollars. Beyond Japan, the storm’s immense wind field affected shipping across a vast portion of the Pacific, causing disruptions and posing risks to maritime activities. The study of Tip’s impact, even after it weakened, underscores the fact that tropical cyclones are complex systems whose influence extends far beyond their core intensity. The rainfall associated with such massive storms can be just as dangerous, if not more so, than the wind itself, especially in regions with vulnerable geography. Meteorologists use the lessons learned from Tip’s landfall in Japan to better understand the potential for rainfall-induced hazards and to improve flood and landslide warnings in mountainous areas affected by tropical cyclones. The storm serves as a powerful reminder that even a weakening tropical cyclone can carry immense destructive potential, particularly in terms of its hydrological impacts. The combination of its record-breaking intensity, vast size, and still-significant landfall impacts makes Super Typhoon Tip a truly unforgettable event in meteorological history.

Lessons Learned from the Strongest Tropical Cyclone Ever Recorded

So, what profound lessons, guys, have we gleaned from studying the strongest tropical cyclone ever recorded , Super Typhoon Tip? This monstrous storm wasn’t just a record-breaker; it was a crucial learning experience for meteorologists and disaster preparedness agencies worldwide. Firstly, understanding the upper limits of tropical cyclone intensity is paramount. Tip showed us that these storms can potentially become far more powerful than previously thought. Its record-breaking low pressure and extreme winds forced scientists to re-evaluate and refine their models for predicting storm intensity. This has led to better algorithms and a deeper understanding of the atmospheric and oceanic conditions that fuel these extreme events. The data collected from Tip helped validate and improve sophisticated computer simulations used to forecast storm behavior. Secondly, the importance of a vast, multi-agency response was highlighted. While Tip’s primary impact was in Japan, its sheer size meant it affected a huge area of the western Pacific. This necessitates international cooperation and coordinated efforts for tracking, warning, and providing aid. The storm underscored the interconnectedness of weather systems and the need for global collaboration in monitoring and responding to extreme weather. Thirdly, Tip reinforced the understanding that size matters as much as intensity . Its colossal diameter meant its effects, including heavy rainfall and strong winds, were felt over an immense region. This emphasizes the need for broader warning zones and consideration of widespread impacts, not just the immediate eyewall. Predicting the extent of a storm’s influence is just as critical as predicting its peak intensity. Fourthly, the hydrological impact of massive storms cannot be understated. The deadly landslides and flooding in Japan served as a stark reminder that extreme rainfall from tropical cyclones can be incredibly destructive, especially in vulnerable terrains. This has led to improved rainfall forecasting and more targeted warnings for flood-prone and landslide-susceptible areas. The sheer volume of water a storm like Tip can transport is immense, and understanding its distribution is key to mitigating damage. Finally, Tip serves as a powerful symbol of nature’s raw power . It reminds us that even with advanced technology, we are still subject to the awesome forces of the planet. This humility is essential for fostering a culture of preparedness and respect for the weather. Continuous research into these extreme events is vital. By analyzing the data from storms like Tip, scientists can improve our ability to forecast, warn, and ultimately protect communities from the devastating impacts of tropical cyclones. The legacy of Super Typhoon Tip is not just in its records, but in the knowledge and preparedness it has spurred, making us better equipped to face future meteorological challenges. It’s a constant reminder that while we strive to understand and predict, nature often holds the ultimate power.