Strongest Hurricane Ever Recorded: A Look Back

L.Inkish 142 views
Strongest Hurricane Ever Recorded: A Look Back

The Strongest Hurricane Ever Recorded: A Look Back

Hey guys, ever wondered about the sheer power of nature? When we talk about the strongest hurricane ever recorded, we’re diving deep into some truly epic and, frankly, terrifying meteorological events. These aren’t just your average tropical storms; these are monsters that have reshaped coastlines and left an indelible mark on history. Understanding these colossal storms helps us appreciate the forces at play and the importance of preparedness.

What Makes a Hurricane So Strong?

Before we get into the nitty-gritty of the strongest hurricanes, let’s quickly touch on what makes them tick. Hurricanes, typhoons, and cyclones – they’re all the same weather phenomenon, just named differently depending on where they form. They gain their immense power from warm ocean waters, typically above 80°F (26.5°C), which act as their fuel source. As this warm, moist air rises, it cools and condenses, forming clouds and releasing latent heat. This process fuels the storm, causing it to intensify. The Earth’s rotation then gives it that characteristic spin. The key ingredients for a super-powerful storm include a continuous supply of warm water, low wind shear (meaning winds at different altitudes blow at similar speeds and directions, allowing the storm to grow vertically without being torn apart), and atmospheric instability.

Think of it like a giant engine. The warm ocean is the fuel, the rising air is the combustion, and the rotation is the mechanism that keeps it all going. The stronger the fuel source and the more efficient the engine, the more powerful the storm becomes. We measure this power primarily through wind speed, but also by factors like barometric pressure (lower pressure means a stronger storm) and the storm’s overall size and duration. When all these factors align perfectly, you can get a storm of unimaginable strength, one that breaks all the records.

The Contenders for the Strongest Hurricane Ever

When we talk about the strongest hurricane ever recorded , we’re usually looking at a few key metrics: maximum sustained wind speed and minimum central pressure. These two factors give us a pretty good idea of a storm’s intensity. It’s a bit of a debate among meteorologists as to which storm truly holds the title, as different measurement methods and historical records can sometimes be tricky to compare directly. However, a couple of names consistently pop up in the discussion, and they represent the absolute peak of hurricane power.

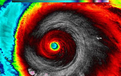
One of the most frequently cited contenders is Hurricane Patricia (2015). This Category 5 monster formed in the Eastern Pacific and absolutely exploded in intensity. At its peak, Patricia recorded sustained winds of a staggering 215 mph (345 km/h) . This isn’t just fast; it’s faster than many high-speed trains! The minimum central pressure dropped to an incredible 872 millibars, which is astonishingly low. For context, typical atmospheric pressure at sea level is around 1013 millibars. The lower the pressure, the more intense the storm. Patricia was so powerful that it was feared it would cause catastrophic devastation along Mexico’s Pacific coast. Thankfully, due to a combination of factors, including the mountainous terrain it encountered and its rapid weakening before landfall, the actual impact was less severe than its intensity suggested. Still, the recorded wind speeds make it a top contender for the strongest hurricane ever.

Another storm that frequently enters the conversation is Typhoon Tip (1979), which formed in the Western Pacific. While Patricia might have had higher sustained winds , Tip was a beast in terms of sheer size and its incredibly low central pressure. At its peak, Tip had a minimum central pressure of 870 millibars , making it the lowest pressure ever recorded for any tropical cyclone globally. While its maximum sustained winds were recorded at around 190 mph (305 km/h), its wind field was enormous, stretching over 1,380 miles (2,220 km) in diameter. That’s almost the width of the continental United States! Imagine a storm system that large; its sheer scale is mind-boggling. While not as famous for its wind speed as Patricia, Tip’s record-low pressure and colossal size solidify its place among the most powerful tropical cyclones in history.

These storms, Patricia and Tip, represent the extreme ends of hurricane power. Patricia, the speed demon with unmatched winds, and Tip, the gargantuan with the lowest pressure. They serve as stark reminders of the raw energy that can be unleashed in our atmosphere. It’s important to remember that these records are based on available measurements, and there might have been even stronger storms in the past before we had the sophisticated technology to accurately measure them.

Historical Context and Other Powerful Storms

When we delve into the history books, several other hurricanes and typhoons stand out as incredibly powerful, even if they don’t quite hold the absolute top spot for the strongest hurricane ever recorded. These storms have left deep scars and are crucial to understanding hurricane behavior and impact. It’s vital to remember that these records are often based on the best available data at the time, and as technology improves, our understanding of these extreme events evolves.

Let’s cast our minds back to the Atlantic basin, which is unfortunately quite familiar with devastating hurricanes. Hurricane Allen (1980) was a powerhouse that reached Category 5 status with winds of 180 mph (290 km/h) and a pressure of 912 millibars. It caused significant damage in the Caribbean and Texas. Then there was Hurricane Camille (1969), another Cat 5 monster that made landfall in Mississippi with 175 mph (280 km/h) winds and a pressure of 900 millibars. Camille’s intensity at landfall was absolutely devastating, and its impact was catastrophic. Its low pressure reading was, for a long time, the lowest recorded in the Atlantic.

Moving back to the Pacific, Typhoon Haiyan (2013), also known as Yolanda in the Philippines, is a storm that many of us will never forget. While its peak sustained winds were recorded at around 195 mph (315 km/h), making it one of the strongest landfalling tropical cyclones on record, its impact was amplified by a devastating storm surge. The sheer force of Haiyan, coupled with its rapid intensification, caught many by surprise. It serves as a grim reminder that wind speed is only one piece of the puzzle; storm surge and rainfall can be equally, if not more, destructive.

Another notable mention is Hurricane Wilma (2005). This storm experienced an incredibly rapid intensification phase, dropping its central pressure by an astonishing 100 millibars in just 24 hours, reaching a minimum pressure of 882 millibars. At its peak, Wilma had sustained winds of 185 mph (295 km/h), making it the most intense hurricane in the Atlantic basin in terms of pressure. It caused widespread destruction across the Caribbean and Florida.

These storms, while perhaps not the single strongest, demonstrate the incredible fury tropical cyclones can unleash. They highlight the variability in how these storms manifest their power – sometimes through sheer wind speed, other times through incredibly low pressure, or a combination thereof. Each storm tells a unique story of atmospheric dynamics and the destructive potential they hold. Understanding their historical context is not just about remembering past disasters; it’s about learning from them to improve forecasting, build more resilient infrastructure, and save lives.

The Science Behind Extreme Hurricanes

So, what exactly allows a hurricane to reach these almost unbelievable levels of intensity, making it the strongest hurricane ever recorded? It’s a complex dance of atmospheric and oceanic conditions that, when they align just right, can create a true meteorological marvel – or nightmare, depending on your perspective! The primary fuel for any hurricane is warm ocean water . We’re talking water temperatures of at least 26.5°C (80°F) extending down to a significant depth. This warm water provides the energy through evaporation, which releases vast amounts of heat when the water vapor condenses into clouds and rain within the storm. The deeper and warmer this layer of water, the more fuel the hurricane has to work with.

Another crucial factor is low vertical wind shear . Wind shear is the change in wind speed and direction with height in the atmosphere. If the wind shear is high, it’s like trying to build a tall tower with wobbly foundations – the storm gets tilted and torn apart, preventing it from organizing and intensifying. When wind shear is low, the storm can maintain its vertical structure, allowing its heat engine to operate efficiently and grow taller and stronger. Think of it as allowing the storm to stack its energy vertically without interruption.

Atmospheric instability also plays a big role. This means that the air is more likely to rise rapidly. When pockets of air are warmer and moister than their surroundings, they want to ascend, creating the powerful updrafts that are the backbone of a hurricane’s eyewall and rainbands. The more unstable the atmosphere, the more vigorous these updrafts can be.

What makes some storms so extreme, like Patricia or Tip? Sometimes, it’s a phenomenon known as rapid intensification (RI) . This is when a storm’s wind speed increases by at least 35 knots (about 40 mph or 65 km/h) in a 24-hour period. Storms like Wilma and Patricia underwent periods of RI, catching forecasters and the public off guard. This rapid strengthening is often associated with specific oceanic conditions, such as passing over unusually warm patches of water (sometimes called