NOAA Hurricane Center Satellite: Your Guide

L.Inkish 149 views
NOAA Hurricane Center Satellite: Your Guide

NOAA Hurricane Center Satellite: Your Ultimate Guide to Tracking Storms

Hey guys, ever wondered how we know so much about hurricanes and tropical storms? Well, a massive part of that comes from the NOAA Hurricane Center Satellite , which is like having a super-powered eye in the sky. It’s constantly watching, gathering data, and helping us understand these powerful weather events. This guide breaks down everything you need to know about the amazing world of NOAA satellites and how they help keep us safe. Buckle up, it’s going to be a fascinating journey!

Decoding the Power of NOAA Satellites and Hurricane Tracking

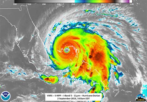
So, what exactly does the NOAA Hurricane Center Satellite do? Simply put, it’s the cornerstone of hurricane tracking and forecasting. These satellites, a mix of geostationary and polar-orbiting ones, provide a constant stream of information. Imagine a fleet of sentinels circling the Earth, equipped with advanced instruments. They aren’t just taking pretty pictures, they’re collecting a ton of critical data. This information is crucial for everything from predicting a storm’s path to understanding its intensity and providing the public with timely warnings. The satellites measure things like cloud-top temperatures, sea surface temperatures, wind speeds, and even the amount of water vapor in the atmosphere. This data is then fed into sophisticated computer models that help meteorologists create accurate forecasts. These models are constantly being refined, thanks to the continuous flow of data from the NOAA satellites. It’s a continuous cycle of observation, analysis, and prediction. Without this constant stream of information, our ability to prepare for and respond to hurricanes would be significantly hampered. The technology behind these satellites is incredible, and it’s constantly evolving, allowing us to get a clearer and more comprehensive picture of what’s happening in our atmosphere and oceans. The more data they collect, the better equipped forecasters are to understand the complex dynamics of hurricanes.

Let’s dig deeper. The geostationary satellites , such as the GOES series (Geostationary Operational Environmental Satellites), stay above a single point on the Earth’s surface. Think of them as always watching the same region. They are especially useful for monitoring developing hurricanes. They offer a near-real-time view of storm systems, helping meteorologists see changes as they happen. These satellites deliver crucial data about cloud formations, the movement of storm clouds, and temperature gradients. This information is very important for short-term forecasts and for tracking the evolution of a storm. On the other hand, we have polar-orbiting satellites that circle the Earth from pole to pole. They provide a more global view, passing over different parts of the planet at different times. These satellites are equipped with instruments that can measure things like sea surface temperatures and atmospheric conditions in more detail. They also provide data that helps scientists understand the overall environment in which hurricanes are forming and moving. Their broader perspective is essential for long-term forecasting and for understanding the bigger picture of how hurricanes interact with climate patterns. Each type of satellite provides unique and crucial data. Working together, they provide a comprehensive view of hurricanes, from their formation to their dissipation. Understanding the capabilities of each type of satellite is key to appreciating the complexity of modern hurricane forecasting. It is important to remember that these are not just simple cameras taking pictures. They are advanced scientific instruments. They provide data that helps us understand a lot about the storms.

So how do we use this data? The information gathered by the NOAA satellites is analyzed by meteorologists at the National Hurricane Center and other weather agencies. They use the data to create forecast models, track the movement of storms, and issue warnings to the public. The models use this to give the potential impacts of a hurricane. The models may use information, like the location of the storm, its speed, and its intensity. This information is used to predict a storm’s path and intensity. The models may also give potential impacts, like storm surge and rainfall. The information is also used to issue warnings and advisories. These warnings and advisories provide the public with the information they need to prepare for a hurricane. This entire process, from data collection to dissemination, is a collaborative effort involving scientists, engineers, and forecasters working around the clock to keep us safe. It’s a testament to the power of science and technology in protecting communities from the ravages of severe weather. The data collected by the satellites are the basis of many important tools, like the cone of uncertainty, which shows the most likely path of a hurricane. The more accurate and timely the data, the better the tools are to help the public.

Unveiling the Technology: How NOAA Satellites Capture Hurricane Data

Alright, let’s get into the nitty-gritty of how the NOAA Hurricane Center Satellite actually works. These satellites are packed with cutting-edge instruments. They are designed to gather different types of data . This data is then used to give a comprehensive view of a hurricane. It’s like having a high-tech science lab floating in space! Let’s break down some of the key instruments and how they work.

First, there are imagers . These are essentially super-powered cameras that capture images of the Earth’s surface in various wavelengths of light. They can see clouds, storms, and the Earth’s surface, day and night. The imagers provide a detailed view of the storm’s structure, allowing meteorologists to track its movement and development. Then, there are sounders . These instruments measure the temperature and humidity of the atmosphere. This is done by analyzing the energy emitted by the Earth. It lets the forecasters understand the vertical structure of the atmosphere. This helps in understanding the factors that affect the intensity of a hurricane.

Microwave sensors are another important tool. They can