Hurricane Tracking: Live Radar & YouTube Updates

L.Inkish 71 views
Hurricane Tracking: Live Radar & YouTube Updates

Hurricane Tracking: Live Radar & YouTube Updates

Hey everyone! Are you ready to dive into the wild world of hurricane tracking ? We’re going to explore how you can stay updated with live radar and the awesome resources on YouTube . Whether you’re a weather enthusiast, live in a hurricane-prone area, or just curious, this guide is for you! We’ll cover everything from real-time tracking tools to the best YouTube channels for up-to-the-minute info. So, grab your virtual umbrella, and let’s get started!

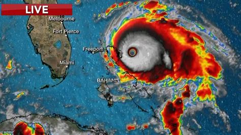
Understanding Hurricane Tracking and Live Radar

Okay, guys, first things first: let’s break down what hurricane tracking is all about. Basically, it’s the process of monitoring and predicting the path, intensity, and potential impacts of a hurricane or tropical storm. And that’s where live radar comes in! Think of it as a superpower that lets us see what’s happening in the atmosphere in real-time. It’s like having a crystal ball, but instead of predicting the future, it shows us the present conditions of a storm.

The Importance of Live Radar

So, why is live radar so darn important? Well, it’s crucial for several reasons:

  • Early Warnings : Live radar helps meteorologists spot developing storms and gives us advance notice, allowing people to prepare for potential threats. The earlier you know, the better, right?
  • Tracking Storms : Radar shows us the exact location and movement of a hurricane. It’s like having a GPS for the storm! This helps determine where the storm is headed and its potential impact on communities.
  • Intensity and Size : Radar can provide insights into the storm’s intensity. Is it a Category 1, or is it growing into a monster Category 5? Radar helps to measure the size of the storm, which helps officials predict the area affected by high winds, flooding, and storm surge.
  • Rainfall and Precipitation : Radar can show the intensity of rainfall, helping to forecast potential flooding and hazards. This is super important if you live in a flood-prone area.
  • Decision Making : Local authorities rely on live radar to issue warnings, evacuation orders, and allocate resources. It’s a critical tool for public safety.

How Live Radar Works

Alright, let’s get a little techy for a second. Radar (Radio Detection and Ranging) uses radio waves to detect precipitation and other atmospheric phenomena. The radar system sends out radio waves, and when those waves hit rain, snow, or other particles in the air, they bounce back to the radar. The system then analyzes the strength and time it takes for those waves to return. This information is used to create a detailed map of precipitation and storm characteristics.

Different types of radar provide different types of information:

  • Doppler Radar : This type of radar can measure the movement of precipitation toward or away from the radar site. This helps meteorologists determine wind speeds and the direction of the storm.
  • Base Reflectivity : This shows the intensity of the precipitation, helping to identify the most active areas of a storm.
  • Velocity Data : Shows how fast the wind is moving within the storm. This is key for identifying potential areas of rotation and the development of tornadoes.

Live radar is a powerful tool that helps us stay safe and informed during hurricane season. Now, let’s explore where to find it on YouTube!

Top YouTube Channels for Hurricane Tracking

Alright, so where can you find all this awesome hurricane tracking info on YouTube ? There are several fantastic channels that provide up-to-date information, analysis, and live coverage. Here are a few of my favorites, but note that this is not an exhaustive list. Do your own research, guys, and find the channels that you trust the most.

The Weather Channel

No list about weather would be complete without The Weather Channel. They have live radar and frequent updates during hurricane season. They provide in-depth analysis from meteorologists, real-time tracking, and reports from the field. It’s a great go-to for accurate and detailed information. This channel offers:

  • Live Coverage : This is a great resource during hurricane season, with live streams. They keep you posted with the latest updates.
  • Expert Analysis : They bring in experienced meteorologists who break down complex weather patterns.
  • Field Reports : Reporters on the ground offer first-hand accounts.
  • Graphics and Visualizations : You can watch detailed maps and data representations of the storm and its impact.

Local News Channels

Local news stations are also fantastic sources. They provide focused coverage on storms affecting your area. You get the local perspective, with on-the-ground reports, evacuation updates, and specific warnings for your community. Check channels like:

  • Specific Updates : They offer the specific warnings and information for your local area.
  • Field Reports : Reporters give you real-time updates and eyewitness accounts.
  • Community Information : Local channels often include information on shelters, resources, and emergency services.

WeatherNation

WeatherNation is another solid channel with a national perspective. They offer continuous weather updates, expert analysis, and advanced visualizations. It’s a great way to stay informed about weather across the country, especially during major events such as hurricanes.

  • 24 7 Coverage : They often have live broadcasts, which helps you stay up-to-date.
  • Expert Discussion : Meteorologists provide detailed analysis of the weather conditions.
  • Interactive Graphics : They show detailed maps.

Other Channels

  • Tropical Weather Experts : Some channels specialize in hurricane tracking and offer in-depth analysis and long-range forecasts. They can give you a different perspective. These channels provide more focused analysis, potentially including longer-range forecasts and in-depth discussions.
  • Storm Chasers : If you want to see the storm firsthand, some YouTube channels are run by storm chasers who provide exciting footage and real-time observations. Watch at your own risk, as it can be dangerous to approach severe weather.

Remember, guys, when using YouTube for weather information, always consider the source. Look for channels with qualified meteorologists, a history of accurate forecasts, and a commitment to providing reliable information. Now, let’s explore other resources that you can use.

Other Resources for Hurricane Tracking

Besides YouTube , there are numerous other resources to help you stay updated on hurricanes. These tools offer valuable data, allowing you to track the storms in real time, analyze their potential impacts, and make informed decisions. Let’s delve into some of the most reliable and useful resources available. These websites and apps offer a wealth of information. With these resources, you can always have the most updated information!

National Hurricane Center (NHC)

The National Hurricane Center (NHC) is the official source for hurricane information in the United States. Its website provides detailed information, warnings, and forecasts about tropical cyclones. You will find:

  • Official Forecasts : The NHC provides the official forecasts of hurricane paths, intensity changes, and potential impacts.
  • Advisories : Regularly updated reports on storm status, including wind speeds, pressure, and movement.
  • Watches and Warnings : Immediate alerts about possible or imminent threats to specific areas.
  • Data and Analysis : Detailed information about the storms, including past and present data.

The NHC is the gold standard for hurricane information. You should check their website frequently during hurricane season.

AccuWeather and The Weather Channel Websites

AccuWeather and The Weather Channel are well-known weather forecasting services with comprehensive hurricane information. They provide:

  • Real-time Tracking Maps : Interactive maps that show the current location and path of the hurricane.
  • Detailed Forecasts : Hourly and daily forecasts, including wind speeds, rainfall, and storm surge predictions.
  • Expert Analysis : The latest news, forecasts, and analysis from meteorologists.
  • Alerts and Notifications : Custom alerts to keep you informed about potential threats in your area.

These websites provide user-friendly interfaces and offer a wealth of data to help you stay informed about the storms.

Mobile Apps

Many mobile apps provide real-time hurricane tracking information. These apps often offer push notifications for severe weather alerts and interactive maps to track the storms. Here are some popular options:

  • MyRadar : A highly-rated radar app that offers real-time radar data, storm tracking, and severe weather alerts.
  • The Weather Channel App : The Weather Channel’s app provides live radar , forecasts, and alerts. It’s an excellent resource for staying informed.
  • AccuWeather App : Another comprehensive app that offers detailed forecasts, real-time radar, and severe weather alerts.
  • Hurricane Tracker Apps : Dedicated hurricane tracking apps that provide detailed storm analysis and alerts.

These apps are convenient and can keep you informed on the go. Make sure you download and install a few of these apps to have multiple sources of information.

Preparing for a Hurricane

Staying informed is only the first step. You also need a plan. When a hurricane threatens, being prepared is essential for your safety and well-being. Preparation can involve everything from securing your home to creating an emergency kit. Here are some key steps to take.

Create an Emergency Kit

An emergency kit should include supplies to last several days after a storm. Your kit should include:

  • Water : At least one gallon per person per day.
  • Food : Non-perishable food that does not need to be cooked.
  • First Aid Supplies : First-aid kit, medication, etc.
  • Flashlights and Batteries : Essential for when the lights go out.
  • Radio : A battery-powered or hand-crank radio to receive updates.
  • Personal Hygiene Items : Such as soap, toothbrush, and toilet paper.
  • Important Documents : Copies of insurance policies, identification, and financial documents in a waterproof bag.

Secure Your Home

Take steps to protect your home. Some examples are:

  • Board Up Windows : Cover windows with plywood or storm shutters.
  • Clear Debris : Trim trees, and remove loose objects from your yard.
  • Reinforce Doors : Make sure they are secure.
  • Elevate Appliances : Raise appliances and electrical equipment above flood levels.
  • Know Your Flood Risk : Understand where you and your home are in relation to potential flood zones.

Develop an Evacuation Plan

Know where you’ll go if you need to evacuate. Here are things to consider:

  • Identify Evacuation Routes : Map out the best routes to higher ground or evacuation shelters.
  • Know Evacuation Zones : Be aware of evacuation zones in your area and the authorities’ instructions.
  • Plan for Pets : Ensure that pets are included in your evacuation plan.
  • Inform Others : Let others know of your plans.

By taking these steps, you will be much better prepared when a hurricane strikes. Be proactive, and create a plan!

Conclusion: Stay Safe and Stay Informed!

Okay, guys, that’s a wrap for our deep dive into hurricane tracking ! We covered the importance of live radar , the top YouTube channels to follow, and essential resources to stay informed. We went over all the key things you can do to get ready for a storm. Remember, staying informed and being prepared can make all the difference. Stay safe, stay vigilant, and never underestimate the power of a good emergency plan. Now, go forth and be weather-wise!